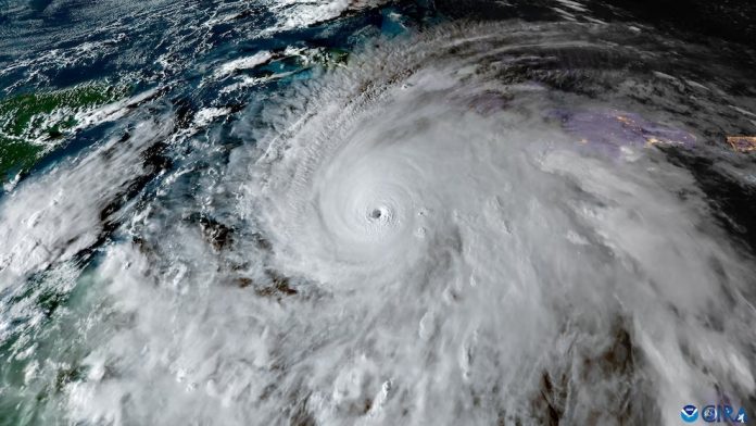
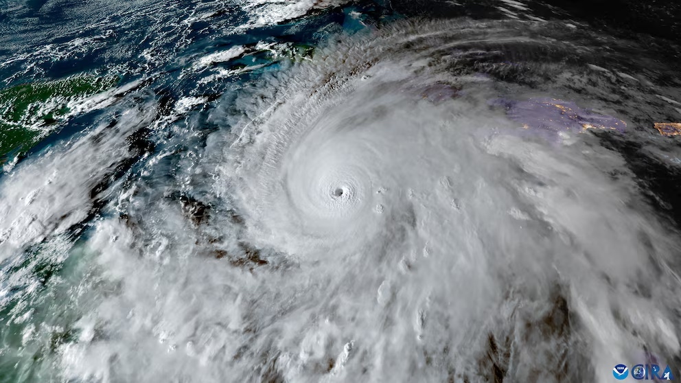
Alimentado por aguas anormalmente cálidas del Caribe, el huracán Melissa explotó en un ciclón de categoría 5 mientras se movía a poco más que un ritmo lento: una mezcla peligrosa que podría amplificar sus impactos a través de lluvias incesantes, marejadas ciclónicas y vientos.
Los científicos afirman que tanto la intensificación rápida como las tormentas estancadas están aumentando en un clima más cálido. Esto es lo que debes saber.
Melissa pasó de tormenta tropical con vientos de 110 km/h el sábado por la mañana a categoría 4 de 225 km/h en 24 horas. Desde entonces, se ha fortalecido aún más hasta alcanzar la categoría 5, el nivel más alto en la cadena Saffir-Simpson, donde incluso las estructuras bien construidas pueden sufrir daños catastróficos.
Fue el cuarto de cinco huracanes del Atlántico esta temporada que se intensificaron de manera tan dramática.
“No hemos tenido muchos huracanes en el Atlántico esta temporada, pero una proporción inusual de ellos pasó por una fase de intensificación bastante rápida”, dijo a la AFP el meteorólogo y científico del clima Kerry Emanuel, del MIT.
Si bien es difícil identificar las huellas del cambio climático antropogénico en eventos individuales, los científicos tienen mayor confianza en cuanto a las tendencias. “Esto bien podría ser, en conjunto, una señal del cambio climático”, afirmó.
El aumento de las temperaturas superficiales del mar inyecta más energía a las tormentas, dándoles combustible adicional. Pero la relación tiene matices: en realidad, es la diferencia de temperatura entre el agua y la atmósfera la que determina la fuerza potencial de un huracán, un concepto del que Emanuel fue pionero.
“Existe un calentamiento atmosférico que tiende a reducir la intensidad, y existe un calentamiento de la temperatura superficial del mar, que tiende a aumentarla”, declaró a la AFP el científico atmosférico Daniel Gilford, de la organización sin fines de lucro Climate Central. “En general, observamos que la temperatura superficial del mar prevalece”.
Melissa pasó sobre aguas que se volvieron 1,4 °C más cálidas debido al cambio climático, según el análisis rápido de Climate Central: temperaturas que eran al menos 500 veces más probables debido al calentamiento causado por los humanos.
La mayor temperatura de los océanos también implica tormentas más húmedas. “Prevemos entre un 25% y un 50% más de lluvia en una tormenta como Melissa debido al cambio climático provocado por el ser humano”, declaró Gilford.
Para agravar aún más la situación, la tormenta avanza lentamente, actualmente a cinco kilómetros por hora. Se prevé que Melissa arroje entre 50 y 63 centímetros de lluvia en algunas zonas de Jamaica.
“Es esta amenaza repetitiva o continua y la existencia de una situación peligrosa”, dijo a la AFP Jill Trepanier, experta en climatología de huracanes de la Universidad Estatal de Luisiana.
Podría ser una marejada prolongada. Podría ser una lluvia intensa durante un período prolongado, que su cuenca hidrográfica no pueda soportar. Podría ser una velocidad extrema del viento durante un período prolongado, que la mayoría de las infraestructuras no puedan soportar. Podría ser una combinación de las tres.
El año pasado, Trepanier escribió un artículo de investigación sobre el tema de las llamadas tormentas de estancamiento y concluyó que dichos eventos en el Caribe suelen ocurrir en octubre, cerca de las costas.

Las tormentas que normalmente se estancan tienden a desaparecer, a medida que extraen agua fría de las profundidades del océano y quedan expuestas a vientos ondulantes y descendentes en la atmósfera que las desgarran.
Lo que hace que Melissa sea inusual es que se estancó y se intensificó en el mismo lugar, una señal de que el agua estaba tan cálida y el calor era tan profundo que evitó el efecto autodestructivo habitual.
“Es una situación un poco aterradora”, dijo Trepanier.
James Kossin, ex climatólogo de la NOAA que ha publicado varios artículos sobre el tema, dijo que los datos muestran claramente que las tormentas estancadas están en aumento.
Un posible factor impulsor es la “amplificación ártica”: el calentamiento global reduce la diferencia de temperatura entre las latitudes bajas y altas del planeta, debilitando los vientos que normalmente dirigen las tormentas como un corcho en un arroyo. Sin embargo, se necesita más investigación para confirmar una relación causal, afirmó.
Trepanier agregó que comprender las dimensiones humanas y ecológicas es tan importante como la física porque los humanos responden de manera diferente al riesgo.

Debido al terreno montañoso de Jamaica, las lluvias torrenciales podrían provocar deslizamientos de tierra, mientras que graves daños a la infraestructura hotelera podrían afectar la economía dependiente del turismo durante años, advirtió.






