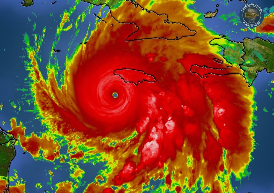
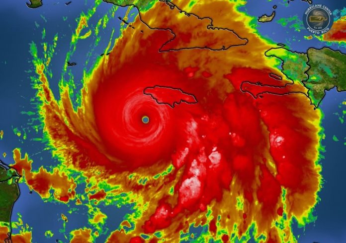
La Administración Nacional Oceánica y Atmosférica (NOAA) reclasificó oficialmente al huracán Melissa como el fenómeno ciclónico más poderoso jamás registrado en la historia del Atlántico, tras confirmar que alcanzó vientos máximos sostenidos de 190 millas por hora y ráfagas de hasta 252 millas por hora.
La revisión técnica de los datos atmosféricos determinó que el sistema superó todos los registros previos de intensidad en la cuenca atlántica, posicionándolo como el evento de mayor fuerza documentado hasta la fecha.
El huracán impactó en octubre del año pasado a Jamaica, Cuba, Haití y la República Dominicana, provocando un fuerte impacto en la región caribeña, con daños significativos en infraestructura, comunidades y sistemas productivos.
Especialistas continúan analizando el comportamiento del sistema como parte de los estudios sobre fenómenos extremos y el fortalecimiento de los protocolos de monitoreo y alerta temprana en el Atlántico.
📲 ¿Tienes una denuncia o deseas promocionar tu negocio?
Contáctanos al 809-853-5020 (Whatsapp y llamada)
🔗 Síguenos en nuestras redes:
X | Telegram | Instagram
Facebook | Threads | YouTube
🙏 ¡Tu apoyo es importante!
🔻DESCARGAR NUESTRA APP "Info ENN"
El Nuevo Norte es un periódico digital dominicano fundado el 12 de febrero de 2006 por el periodista Junior Henríquez, quien funge como director y fundador. A través de la web infoelnuevonorte.com, el medio ofrece información veraz y oportuna sobre los acontecimientos sociales, políticos, comunitarios y de actualidad general, tanto a nivel nacional como internacional, promoviendo un periodismo responsable, participativo y comprometido con la libre expresión y el fortalecimiento de la democracia informativa.



